Slogan
Käfer (Coleoptera)

Familien
Artenliste
Fotos der Art

- 08145 - Coleoptera Cerambycidae Bockkäfer
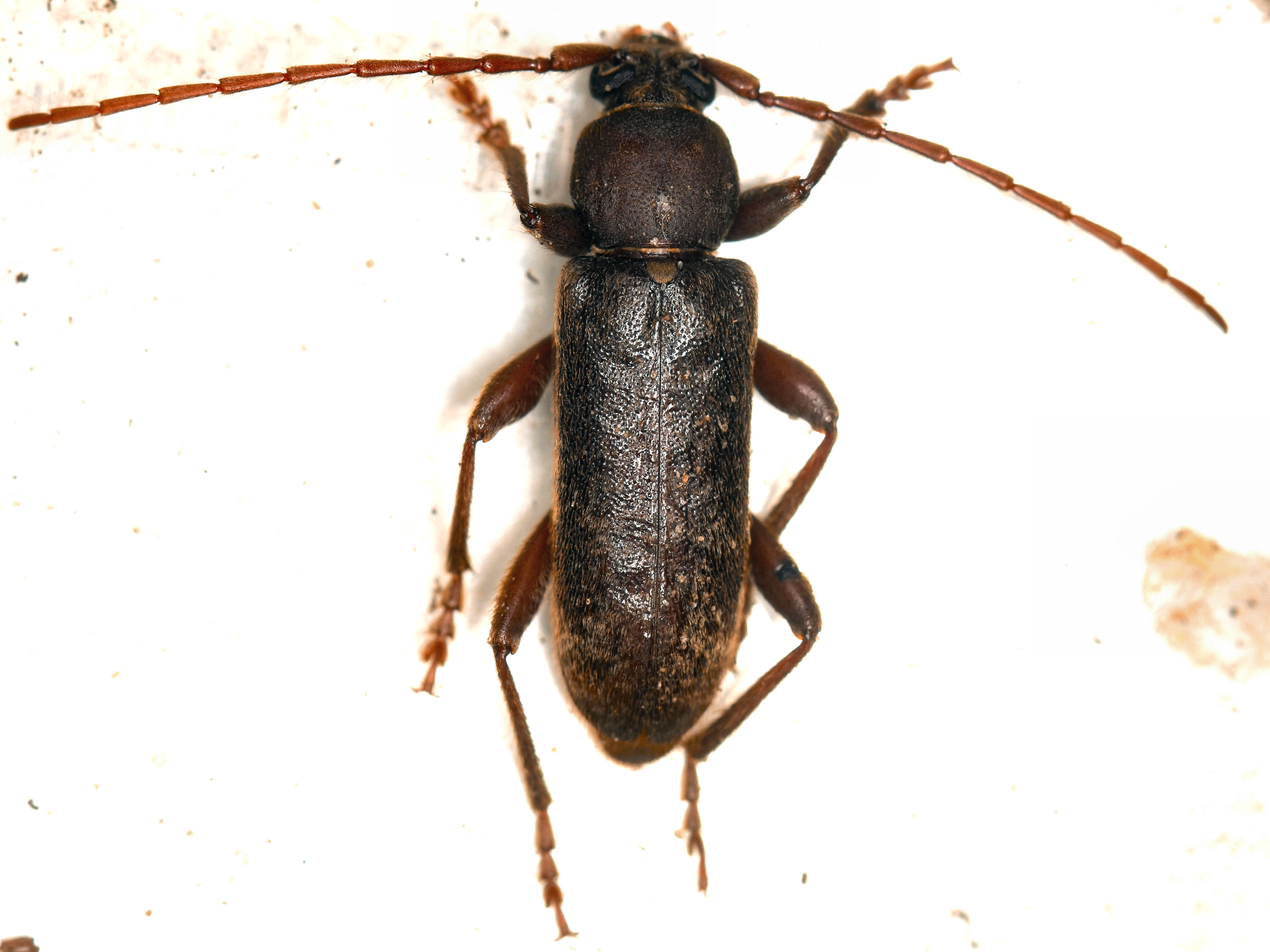
Trichoferus campestris (Faldermann, 1835)
schließen

Hinweis
Imagines

Bild Nr.08145


Weißensee (BE), 11.08.2023
F. Hesse   J. Esser
Bild Nr.08145


Weißensee (BE), 14.08.2025
F. Hesse   J. Esser
Bild Nr.08145


Weißensee (BE), 03.07.2025
F. Hesse   J. Esser